T3947 【ガラス張り×視認性◎】春日町スタイリッシュ物件

■人目を引く外観、それだけでブランドになる。
仙台・春日町の角地に建つこの物件は
全面ガラス張りのファサードが最大の魅力
交差点からの視認性は良好で
何気なく通る歩行者の視線も自然と引き込まれます
昼間は太陽の光が降り注ぎ
夜にはライティングが通りを彩る――
そんな演出も、この物件なら叶います
■“映える”空間に、服屋の内装をそのままプラス。
前テナントのアパレル内装が残っており
譲渡金相談の上、すぐにでも開業可能
天井の高さや什器の配置など
店舗設計において重要な要素がすでに整っています
改装の負担を抑えつつ
自分らしい演出ができるのも魅力です
■アクセスも良好、勾当台公園駅から徒歩10分。
仙台市営地下鉄「勾当台公園」駅から徒歩10分
オフィスワーカー、学生、観光客など
多様な人が行き交うエリアで
週末や夜間も24時間営業が可能
人通りの多さと立地の良さを活かしたビジネス展開ができます
■「空間が主役」そんなお店にぴったりの一室です。
デザイン性と機能性を兼ね備えたこの物件
物販・美容・ギャラリーなど
あなたのこだわりをそのままカタチにできる場所です
気になる方はぜひ一度、現地をご覧ください
最寄り駅の1日平均乗車人員
32,856人(勾当台公園駅、2022年度)
※出典の数値は利用者数(乗車・降車合計)の可能性が高く、純粋な乗車人員は概ねこの半数程度と推定されます。
近隣のビル・公共施設
・宮城県庁(徒歩3分)
・仙台市役所(徒歩6分)
・東京エレクトロンホール宮城(徒歩2分)
・仙台国際センター(車で約5分)
公務員・ビジネスマン層に加え、ホール利用者や国際会議参加者など、幅広い客層の利用が見込めます。
エリアの今後の予測
【ポジティブ要素】
・仙台市は2024年から「ナイトタイムエコノミー」の強化施策を進めており、夜間営業の活性化が期待される。
・国分町エリアへの外国人観光客増加が見込まれ、インバウンド需要も狙える。
・勾当台公園でのイベント開催や国際センターでの大規模会議などによる一時的な集客ポテンシャルが高い。
【ネガティブ要素】
・既存の競合店が多く、価格競争やサービスの差別化が重要。
・飲食店の深夜営業には騒音トラブルのリスクがあるため、近隣対策が必要。
・行政施設が近いため、平日と土日祝日で利用客の属性や客足に大きな変動が生じる可能性がある。
種別 |
貸店舗 |
|---|---|
所在 |
仙台市青葉区春日町 |
階 |
2階 |
沿線 最寄駅 |
地下鉄南北線「勾当台公園駅」徒歩10分 |
賃料 (税別) |
300,000円 |
管理費(税別) |
無 |
敷/礼 |
4ヶ月 1ヶ月 |
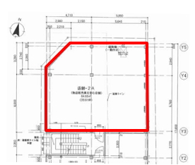
面積 |
94.57㎡ 28.61坪 |
図面と現況が異なる場合は現況を優先致します
| 契約時に必要な金額(税別) | 毎月必要な金額(税別) | ||||
|---|---|---|---|---|---|
| 前家賃(賃料+管理費等) | 300,000 | 賃料 | 300,000 | ||
| + | 敷金 | 1,200,000 | + | 管理費 | 0 |
| + | 礼金 | 300,000 | |||
| + | 仲介手数料 | 300,000 | |||
| + | 賃貸保証料 | 450,000 | |||
| 合計 | 2,550,000 | 合計 | 300,000 | ||
※合計額は概算です。実際の契約時とは異なる場合があります
※契約時には火災保険料が別途必要になります
※前家賃は当月分(日割り計算)+翌月分となる場合があります
※物件により鍵交換代など、その他費用がかかる場合があります
| 建物構造 | 鉄骨造 | 天井高 | - |
|---|---|---|---|
| 築年 | 2019年9月 | 階数/所在階 | 地上3階建/2階部分 |
| 駐車場 | 敷地内コインパーキング併設 | 改築 | - |
| 方位 | - | 現況 | 使用中 |
| 入居予定年月 | 相談 | 入居条件 | - |
| 契約期間 | 普通5年 | 取引態様 | 仲介 |
| 本体設備 | - | ||
| 各戸設備 | トイレ・ビルトインエアコン | ||
| 備考 | ※借家人賠償保険料別途 |
||


